¼Û¼®Áö
           
¼Û¼®Áö³¬Æ¼ÅÍ Á¶È²Á¤º¸

°ü¸®ÀÚ    2021-12-26 14:26:54   
¼Û¼®Áö12¿ù19ÀÏ_Resized_20211225_161150.jpeg ( 189.3 KB )   Download : 19
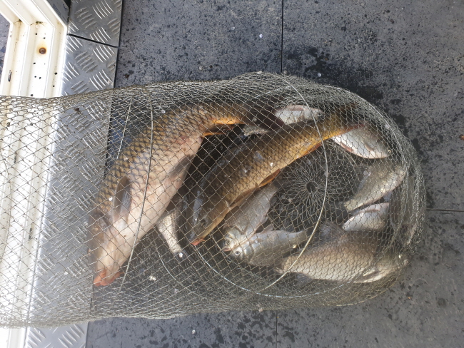
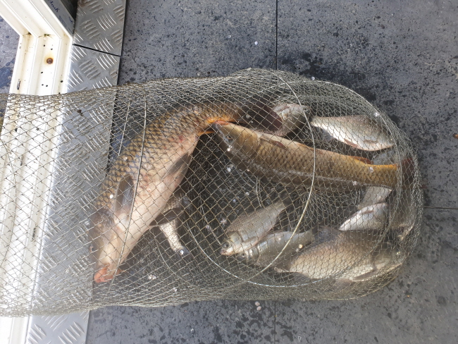
¼Û¼®Áö12¿ù26ÀÏ  


 Á´뿡¼­ ºù¾î³¬½Ã¿Í ¹°³¬½Ã°¡ °¡´ÉÇÕ´Ï´Ù.   

ºù¾îäºñ(°ßÁö´ë,¹Ì³¢)¸¦ °ü¸®½Ç¿¡¼­ ÆÇ¸ÅÇϰíÀÖ½À´Ï´Ù.

  

¼Û¼®Áö µ¿Àý±â Á´ë¿ä±ÝÇÒÀÎ

 ÆòÀÏ(ÀÏ¿äÀÏ~±Ý¿äÀÏ) : 2ÀαâÁØ 7¸¸


Åä¿äÀÏ : 2ÀαâÁØ 13¸¸

 

Á´뿡 ±â¸§³­·ÎºñÄ¡   »þ½Ã¹®¼³Ä¡µÇ¾ú½À´Ï´Ù.

 

¼Û¼®Áö12¿ù19ÀÏ-20211213_130917.jpg

 

 

¼Û¼®Áö12¿ù19ÀÏ-20211214_104742.jpg

 

 

¼Û¼®Áö12¿ù19ÀÏ-20211214_104902.jpg

 

 

¼Û¼®Áö12¿ù19ÀÏ-20211214_104919.jpg

 

 

¼Û¼®Áö12¿ù19ÀÏ-20211214_104922.jpg

 

 

¼Û¼®Áö12¿ù19ÀÏ-20211215_084940.jpg

 

 

¼Û¼®Áö12¿ù19ÀÏ-20211215_085009.jpg

 

 

¼Û¼®Áö12¿ù19ÀÏ-20211215_085038.jpg

 

 

¼Û¼®Áö12¿ù19ÀÏ-Resized_20211221_083019.jpeg

 

 

¼Û¼®Áö12¿ù19ÀÏ-Resized_20211225_161150.jpeg

 

 

¼Û¼®Áö12¿ù19ÀÏ-Resized_20211225_164325.jpeg

 

 

¼Û¼®Áö12¿ù19ÀÏ-Resized_20211225_175044.jpeg

 

 

¼Û¼®Áö12¿ù19ÀÏ-Resized_20211225_200005.jpeg

¼Û¼®ÁöȨÆäÁö¹Ù·Î°¡±â www.songsek.com 






¹øÈ£ À̹ÌÁö Á¦ ¸ñ À̸§ µî·ÏÀÏ Á¶È¸¼ö
229   ¼Û¼®Áö4¿ù11ÀÏ
°ü¸®ÀÚ
2022/04/11 2040
228   ¼Û¼®Áö7¿ù3ÀÏ
°ü¸®ÀÚ
2022/07/03 2040
227   ¼Û¼®Áö5¿ù1ÀÏ
°ü¸®ÀÚ
2022/05/01 2045
226   ¼Û¼®Áö4¿ù4ÀÏ
°ü¸®ÀÚ
2022/04/04 2058
225   ¼Û¼®Áö5¿ù16ÀÏ
°ü¸®ÀÚ
2022/05/16 2068
224   ¼Û¼®Áö7¿ù10ÀÏ
°ü¸®ÀÚ
2022/07/10 2092
223   ¼Û¼®Áö7¿ù18ÀÏ
°ü¸®ÀÚ
2022/07/18 2094
222   ¼Û¼®Áö3¿ù21ÀÏ
°ü¸®ÀÚ
2022/03/21 2102
221   ¼Û¼®Áö3¿ù27ÀÏ
°ü¸®ÀÚ
2022/03/27 2108
220   ¼Û¼®Áö12¿ù20ÀÏ
°ü¸®ÀÚ
2022/12/20 2142
219   ¼Û¼®Áö6¿ù27ÀÏ
°ü¸®ÀÚ
2022/06/27 2158
  ¼Û¼®Áö12¿ù26ÀÏ
°ü¸®ÀÚ
2021/12/26 2206
217   ¼Û¼®Áö2¿ù21ÀÏ
°ü¸®ÀÚ
2022/02/21 2274
216   ¼Û¼®Áö1¿ù4ÀÏ
°ü¸®ÀÚ
2023/01/04 2325
215   ¼Û¼®Áö12¿ù5ÀÏ
°ü¸®ÀÚ
2021/12/05 2399
214   ¼Û¼®Áö10¿ù11ÀÏ
°ü¸®ÀÚ
2021/10/11 2415
213   ¼Û¼®Áö10¿ù18ÀÏ
°ü¸®ÀÚ
2021/10/18 2427
212   ¼Û¼®Áö11¿ù22ÀÏ
°ü¸®ÀÚ
2021/11/22 2442
211   ¼Û¼®Áö10¿ù24ÀÏ
°ü¸®ÀÚ
2021/10/24 2466
210   ¼Û¼®Áö10¿ù3ÀÏ
°ü¸®ÀÚ
2021/10/03 2507
[1][2][3][4][5][6][7] 8 [9][10]..[19]  
 
 
   
Copyright 1999-2025 Zeroboard / skin by pqbig
 
403 Forbidden